Comparan a ‘Patricia’ con tifón en Filipinas que dejó 6 mil muertos

Nacional
/ 23 octubre 2015

La Organización Meteorológica Mundial consideró que por su magnitud el huracán solo sería comparable con el tifón Haiyan, que azotó a Filipinas en 2013 y cobró la vida de 6 mil 300 personas.

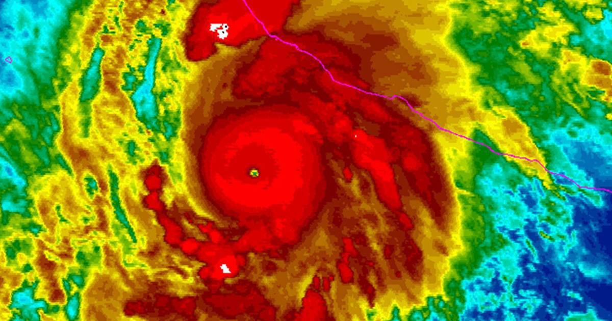
México.- La Organización Meteorológica Mundial (OMM) alertó hoy que Patricia es el huracán más fuerte registrado en el pacífico y sus efectos pudieran ser "potencialmente catastróficos".

La OMM consideró que por su magnitud Patricia solo sería comparable con el tifón Haiyan, que tuvo lugar en Filipinas en 2013 y cobró la vida de 6 mil 300 personas.

Con una presión central mínima de 880 hectopascales, Patricia se convertiría en el más fuerte de los huracanes que han golpeado la costa pacífica oeste, indicó en rueda de prensa en Ginebra la portavoz de la OMM, Claire Nullis.

El organismo de las Naciones Unidas advirtió que la llegada a tierra de Patricia en las costas de México es "potencialmente catastrófica".

El anuncio se dio luego de que en las últimas 24 horas el Centro Nacional de Huracanes de Estados Unidos, organismo regional de la OMM, señaló que este fenómeno natural se había fortalecido "a un ritmo increíble" al punto de convertirse en un huracán de categoría 5 en la escala Saffir-Simpson.

La inminente llegada de Patricia a la zona comprendida entre Puerto Vallarta y Manzanillo producirá vientos de 295 kilómetros por hora.

Para ilustrar la magnitud de este fenómeno, la OMM pide tener en cuenta que cuando un avión despega, lo hace a una velocidad de entre 130 y 150 kilómetros por hora, lo que significa que la fuerza del huracán podría mover una aeronave en esa fase de vuelo.

Además del viento, se espera que durante el sábado Patricia produzca lluvias torrenciales de 150 a 300 milímetros, con precipitaciones aisladas que pueden alcanzar hasta los 500 milímetros en los estados de Jalisco, Colima, Michoacán y Guerrero.

"Estas lluvias podrían producir inundaciones y deslizamientos de tierra que pongan en riesgo la vida" de los habitantes de las poblaciones afectadas, señaló.

Adicionalmente, está previsto que el huracán dé origen a un aumento en el nivel del mar "extremadamente peligroso" como consecuencia del cual habrá inundaciones "significativas" cerca y hacia el oriente del lugar en el que el centro del huracán haga contacto con la tierra.

Notimex era una agencia de noticias estatal de México, durante más de medio siglo fue una fuente clave de información nacional e internacional para medios, instituciones y el público en general.

La agencia suspendió sus operaciones desde febrero de 2020 por una huelga, en diciembre de 2023 cerró oficialmente.

Selección de los editores