Huracán ‘Erick’ toca costas del Pacífico como categoría 1; estos son los principales estados afectados

+ Seguir en Seguir en Google
Información
/ 18 junio 2025

TEMAS


Localizaciones


Organizaciones


SMN

El huracán ‘Erick’ se forma en el Pacífico y alcanza categoría 1; SMN y Protección Civil emiten alertas por lluvias intensas, vientos y oleaje en seis estados

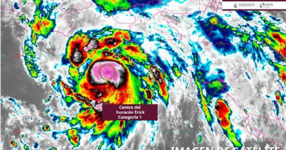
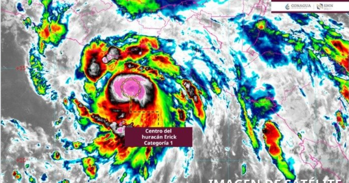
La madrugada de este martes, el Servicio Meteorológico Nacional (SMN) confirmó la formación del huracán ‘Erick’, luego de que la depresión tropical Cinco-E se intensificara rápidamente en aguas del océano Pacífico. Minutos después, el Centro Nacional de Huracanes de Estados Unidos (NHC, por sus siglas en inglés) corroboró que el fenómeno alcanzó la categoría 1 en la escala Saffir-Simpson, lo que activó las alertas preventivas en varios estados del sureste mexicano.

De acuerdo con el último reporte del SMN, el centro del huracán se localiza a 255 kilómetros al sur-sureste de Puerto Ángel, Oaxaca, y a 440 kilómetros al sureste de Punta Maldonado, Guerrero. El sistema presenta vientos máximos sostenidos de 65 km/h, con rachas de hasta 85 km/h, y se desplaza con dirección oeste-noroeste a una velocidad de 19 km/h.

TE PUEDE INTERESAR: ¡Erick ya es huracán!... se intensifica a categoría 1 y amenaza a Guerrero, Oaxaca y Chiapas con lluvias torrenciales

SMN ALERTA SOBRE RIESGO ELEVADO EN SEIS ESTADOS DEBIDO AL HURACÁN ERICK

Tanto el SMN como la Coordinación Nacional de Protección Civil (CNPC) y autoridades estadounidenses han emitido alertas y advertencias de huracán y tormenta tropical ante el riesgo de inundaciones, deslaves y oleaje elevado en varias entidades.

Los estados que podrían verse afectados directamente por las bandas nubosas, lluvias intensas y rachas de viento generadas por el huracán ‘Erick’ son:

- Guerrero

- Oaxaca

- Chiapas

- Veracruz

- Puebla

- Tabasco

En particular, el NHC advirtió que el huracán podría traer “condiciones peligrosas y riesgos mortales” para las regiones del sur de México durante la noche del martes y el día jueves, por lo que se recomienda a la población seguir de cerca las actualizaciones oficiales y atender cualquier medida de evacuación o resguardo preventivo.

ZONAS BAJO ADVERTENCIA

El gobierno federal, a través de Protección Civil, informó que el sureste mexicano se encuentra en estado de alerta, en especial la zona comprendida entre Acapulco, Guerrero, y Puerto Ángel, Oaxaca, que podría experimentar impactos más severos.

Asimismo, el NHC emitió una advertencia de tormenta tropical para el tramo costero que va desde el este de Puerto Ángel hasta Salina Cruz, Oaxaca, lo que implica la posibilidad de lluvias torrenciales, oleaje elevado y fuertes ráfagas de viento en esa franja costera.

AUTORIDADES EFECTÚAN ACCIONES PREVENTIVAS Y MONITOREO DEBIDO A HURACÁN ERICK

Ante la cercanía del huracán, autoridades federales y estatales han iniciado protocolos de seguridad y protección para la población, incluyendo:

- Activación de refugios temporales

- Revisión de infraestructura costera y carreteras

- Suspensión preventiva de clases y actividades no esenciales en algunas regiones

- Despliegue de elementos de la Guardia Nacional y Protección Civil para monitoreo de ríos y zonas de riesgo

Por su parte, el SMN ha llamado a los ciudadanos a mantenerse informados exclusivamente a través de fuentes oficiales, y a evitar difundir rumores o información no verificada que pueda generar confusión o pánico innecesario.

TEMPORADA ACTIVA DE CICLONES

Con la llegada de ‘Erick’, ya se han formado cinco sistemas con nombre en el Pacífico durante la temporada 2025:

Tormentas tropicales: Alvin, Cosme, Dalila

Huracanes: Barbara y ahora Erick

El SMN estima que durante esta temporada se podrían formar entre 16 y 20 ciclones tropicales en el océano Pacífico, por lo que el monitoreo y las medidas de prevención se mantendrán activas en los próximos meses.

$!Imagen del SMN, previo a la evolución de ‘Erick’ de tormenta tropical a huracán

TE PUEDE INTERESAR: ¿El fin del mundo será en 2025?... La aterradora predicción de Baba Vanga y la Tercera Guerra Mundial

RECOMENDACIONES A LA POBLACIÓN ANTE RIESGOS POR HURACÁN ERICK

Las autoridades han reiterado las siguientes recomendaciones:

- Permanecer en zonas seguras, especialmente quienes viven en áreas de laderas, ríos o cerca del mar.

- Evitar cruzar ríos crecidos o caminar por zonas inundadas.

- Mantenerse atento a las indicaciones del Sistema de Alerta Temprana para Ciclones Tropicales (SIAT-CT).

- Preparar una mochila de emergencia con documentos importantes, agua, alimentos no perecederos y medicinas.

El SMN continuará emitiendo informes cada seis horas, o antes si el sistema presenta cambios significativos en su comportamiento. Mientras tanto, las autoridades siguen evaluando la trayectoria del huracán, su posible fortalecimiento o debilitamiento, y el impacto que podría tener en tierra firme.

Temas



Localizaciones



Organizaciones


SMN

Me interesan los temas de actualidad, la música de Asia y el Glam Rock; con pasión por los deportes como el Fútbol Americano y los e-sports. Parte de la comunidad Queer que disfruta la literatura y las tendencias.
Licenciada en Letras Españolas por la Universidad Autónoma de Coahuila, con diplomado en Literatura Contemporanea del siglo XX otorgada por el INBA y ponente en el II Congreso Internacional de Humanidades: Horizontes y Desafíos en la Investigación Interdisciplinaria, Además de contar con certificado en Lengua de Señas Mexicanas nivel avanzado.

Selección de los editores