Alertan por huracán ‘Harvey’ a Tamaulipas y Texas

+ Seguir en Seguir en Google
Nacional
/ 25 agosto 2017

Las ciudades que podrían registrar afectaciones: Reynosa, Río Bravo, Valle Hermoso, Matamoros y San Fernando. Las autoridades harán rondines en las colonias con más riesgo de inundaciones

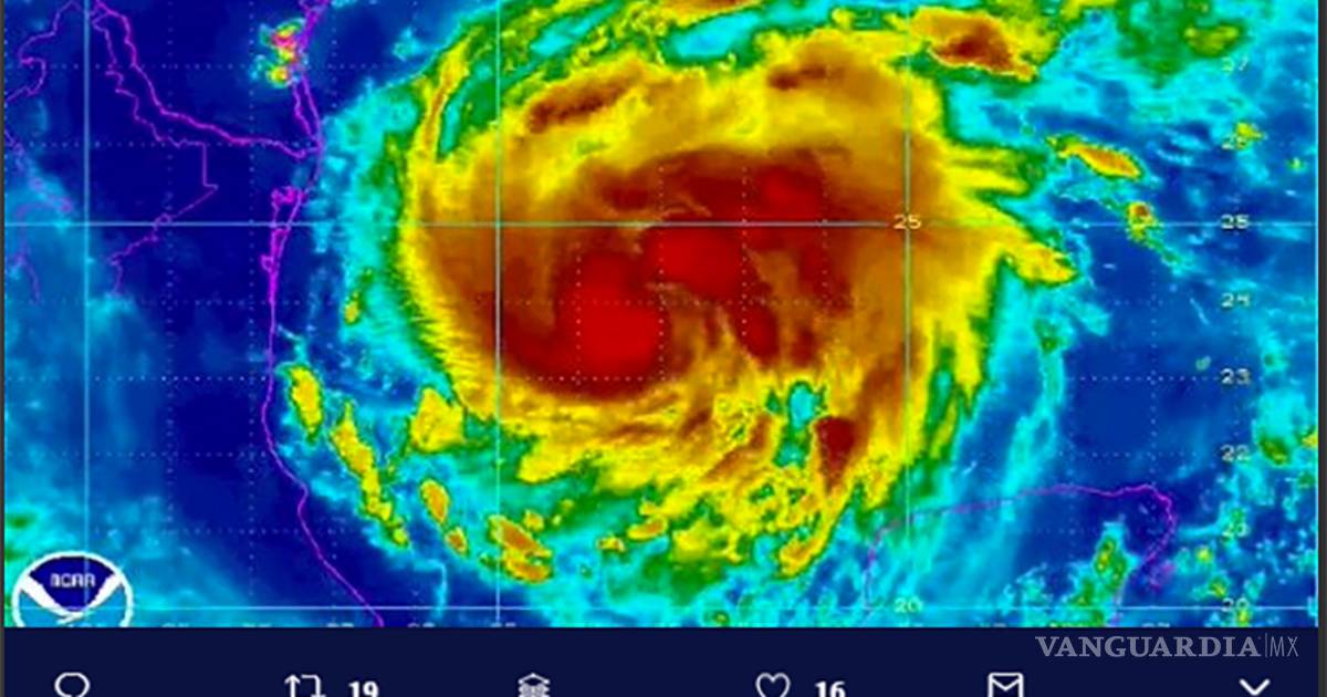
TAMAULIPAS.- Protección Civil alertó a cinco municipios de Tamaulipas, donde el huracán “Harvey” entrará durante la madrugada de hoy, aunque sus efectos comenzarán a sentirse en la tarde-noche de este jueves. Es clasificado en la categoría 1 y provocará tormentas intensas tanto en el estado como en Veracruz y Tabasco, según el registro con 80 % en estas últimas entidades.

Las ciudades que podrían registrar afectaciones: Reynosa, Río Bravo, Valle Hermoso, Matamoros y San Fernando. Las autoridades harán rondines  en las colonias con más riesgo de inundaciones.
Tiene como punto de impacto el sureste de Texas, las primeras horas del sábado; donde el Centro Nacional de Huracanes de Estados Unidos pronosticó que el fenómeno escalará a huracán categoría 

Temas



Localizaciones



Excélsior es el segundo periódico más antiguo de la Ciudad de México, después de El Universal. Fue fundado por Rafael Alducin y su primer número circuló el 18 de marzo de 1917.

Selección de los editores