Huracán Dorian deja grandes inundaciones y daños en Bahamas

+ Seguir en Seguir en Google
Internacional
/ 1 septiembre 2019

TEMAS


Localizaciones


Usuarios en redes sociales comparten imágenes de las afectaciones en Bahamas

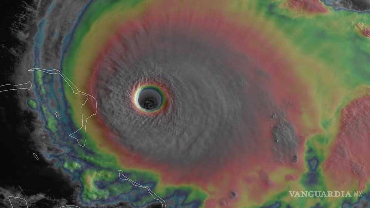
De acuerdo con las primeras imágenes divulgadas a través de las redes sociales luego de que el huracán Dorian, de categoría 5 tocó tierra este domingo en el Cayo Elbow, en las islas Ábaco del archipiélago atlántico, se registraron severas inuncaciones en el noroeste de Bahamas.

Los videos divulgados que ya circulan en redes sociales muestran auténticos ríos que casi cubren las casas muchas con los techos destrozados por la fuerza de vientos máximos sostenidos de 295 kilómetros por hora generados por el huracán.

En los videos se miran automóviles volcados en carreteras junto a casas castigadas por la torrenciales lluvias y fuertes vientos que lleva consigo Dorian.

El huracán Dorian ha dejado a su paso destrucción de construcciones e inundaciones que han generado daños incuantificables aún.

Se desconoce, hasta esta tarde si Dirian ha causado pérdidas humanas. Sigue en rumbo hacia los Estados Unidos.

Con información de Radio Fórmula.

Temas



Localizaciones



Somos un medio de comunicación digital e impreso con cinco décadas de historia; nos hemos consolidando como uno de los sitios de noticias más visitados del Noreste de México.

Como medio multiplataforma, nos distinguimos por ofrecer contenidos confiables y de alta calidad, abarcando una amplia gama de temas, desde política y estilo de vida hasta artes y cultura. Además, ofrecemos artículos de análisis, entretenimiento y recursos útiles a través de formatos innovadores en texto, fotografía y video, que permiten a nuestros lectores estar siempre bien informados con las noticias más relevantes del día.

Nos enorgullece tener un equipo editorial compuesto por periodistas especializados en Derechos Humanos, Deportes y Artes.

Selección de los editores