Huracán 'Dorian' deja al menos cinco muertos en Bahamas; Virginia es el quinto estado de EU que se declara en emergencia

+ Seguir en Seguir en Google
Internacional
/ 2 septiembre 2019

El primer ministro de Bahamas, Hubert Minnis, señaló que los cinco fallecidos perdieron la vida en las Islas Ábaco, las cuales resultaron completamente destruidas

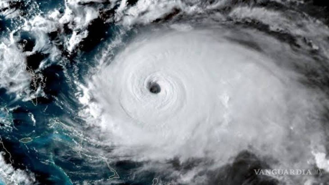
Hubert Minnis, primer ministro de Bahamas, informó que el huracán Dorian ha dejado hasta el momento cinco muertos en la isla, esto luego de conocer la información disponible, aunque dijo que hay que ser muy cuidadosos con los datos que se dan sobre fallecimientos.

La cifra oficial de muertos confirmada por el primer ministro llega después de que durante toda la jornada se informara de la muerte de un niño en las Islas Ábaco, quien falleció ahogado, según confirmó un familiar.

Los cinco fallecidos perdieron la vida en las Islas Ábaco, aunque Minnis no entró en detalle de cuál fue la causa del fallecimiento.

“Hay que tener mucho cuidado con este información… las Islas Ábaco resultaron completamente destruidas por los efectos del paso del huracán. Hubo inundaciones sin precedentes” subrayó.

La atención ahora se centra en Gran Bahama, la isla sobre la que Dorian ejerce ahora mismo toda su fuerza.

El Servicio Meteorológico de Bahamas informó que la fuerza del huracán se sentirá durante muchas horas más sobre Gran Bahama debido a la lentitud de la velocidad con que se mueve.

Virginia es ya el quinto estado del sureste de EU que se declara en emergencia por el huracán Dorian

El gobernador del estado de Virginia (EE.UU.), Ralph Northam, ha declarado este lunes el estado de emergencia por el huracán Dorian, sumándose así a otros cuatros estados de la región sureste del país (Florida, Georgia, Carolina del Sur y del Norte), informa The Hill.

$!Huracán 'Dorian' deja al menos cinco muertos en Bahamas; Virginia es el quinto estado de EU que se declara en emergencia

Según el medio, se prevé que la tormenta alcance Virginia este jueves. Además, el Centro Nacional de Huracanes de Estados Unidos informa a través de Twitter que "es muy probable" que el martes golpee la costa central de Florida (por la mañana), así como la costa norteña de Florida (por la tarde) y Georgia (por la noche). Asimismo, se prevé que la mañana del miércoles el huracán llegue a Carolina del Sur.

Temas



Localizaciones



Somos un medio de comunicación digital e impreso con cinco décadas de historia; nos hemos consolidando como uno de los sitios de noticias más visitados del Noreste de México.

Como medio multiplataforma, nos distinguimos por ofrecer contenidos confiables y de alta calidad, abarcando una amplia gama de temas, desde política y estilo de vida hasta artes y cultura. Además, ofrecemos artículos de análisis, entretenimiento y recursos útiles a través de formatos innovadores en texto, fotografía y video, que permiten a nuestros lectores estar siempre bien informados con las noticias más relevantes del día.

Nos enorgullece tener un equipo editorial compuesto por periodistas especializados en Derechos Humanos, Deportes y Artes.

Selección de los editores