Huracán Irma alcanza categoría 4; continúa ganando fuerza
El centro del huracán llegará al norte de las islas Leeward, en el Caribe, entre martes por la noche y miércoles temprano.
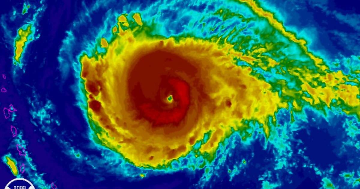
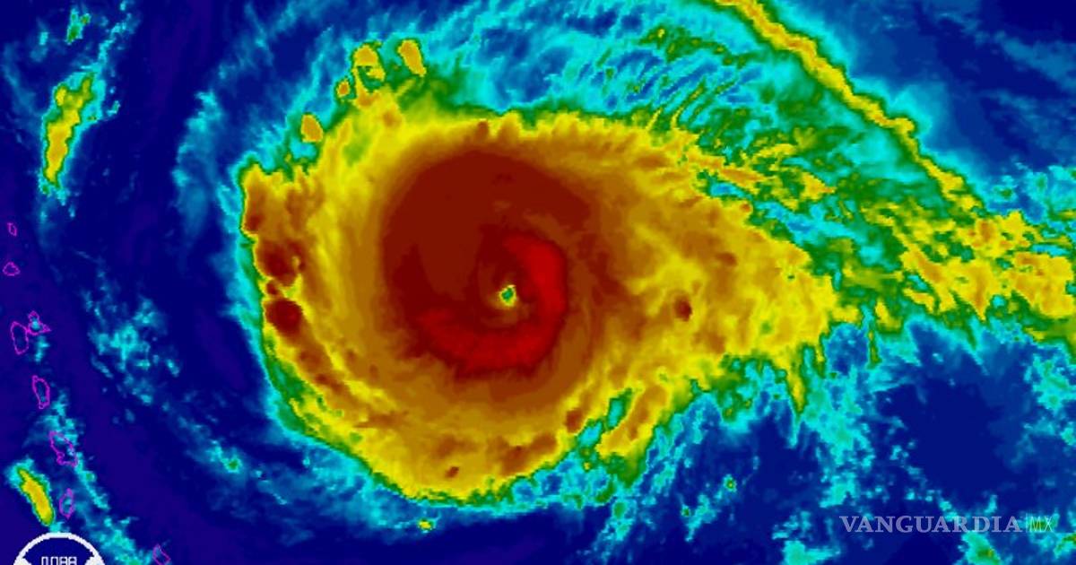
Irma es ya un huracán de categoría 4. Y, según va avanzando por el Atlántico hacia Estados Unidos, las posibilidades de que sus efectos se sientan en suelo estadounidense en los próximos días aumentan. Así lo indicó este lunes el Centro Nacional de Huracanes (NHC, en inglés) en un boletín donde explicó que se mueve camino al Caribe con vientos de 130 millas por hora (215 km) y podría sentirse en Florida hacia el fin de semana.
Irma se está moviendo hacia el oeste cerca de 13 millas por (20 kilómetros por hora). Está previsto que continúe en esa dirección hasta el martes, cuando girará hacia el oeste-noroeste. El centro del huracán llegará al norte de las islas Leeward, en el Caribe, entre martes por la noche y miércoles temprano.
Huracán #Irma asciende a la DEVASTADORA categoría 4 y amenzaza con ARRASAR a parte del #CARICOM! El destino COBRA! pic.twitter.com/klACs5S45Z
— ZoonPolitikon (@iPolitikon) 4 de septiembre de 2017
Pese a que los meteorólogos aún no pueden describir el recorrido exacto del ciclón, el NHC subrayó en un boletín esta mañana, con la información que se tiene en este momento, "hay una posibilidad cada vez mayor de ver algunos impactos de Irma en Florida y los Cayos hacia el final de esta semana y durante el fin de semana".
Ante este panorama, se ha emitido un aviso por huracán para Puerto Rico, las Islas Vírgenes, Vieques, Culebra y Guadalupe. De hecho, el gobierno de Puerto Rico comenzó ya los preparativos ante la llegada de Irma y declaró el estado de emergencia en el país. Ricardo Rosselló, gobernador de la isla, anunció además las clases en los centros públicos de enseñanza quedaban suspendidas este martes y los funcionarios saldrán al mediodía.
Igualmente, se lanzó una alerta por huracán para Antigua, Barbuda, Anguilla, Montserrat, St. Kitts, y Nevis. Asimismo, un aviso por huracán está en pie para las Islas Vírgenes Británicas.
Inundaciones y deslaves mortales
La fuerza de Irma va a provocar olas de entre 6 y 9 pies de altura cerca de las Islas de Sotavento, que en la costa pueden ser "grandes y destructivas". También dejará entre 3 y 6 pulgadas de agua en esta zona, aunque en algunas partes pueden llegar a 10, por lo que se producirán "inundaciones y deslaves mortales".
#Irma es ahora #Huracán cat. 4 se localiza a 680 km al noreste de Barbados, Antillas Menores y a 3 440 km al este de costas de #QuintanaRoo pic.twitter.com/1jHcJ1bCSe
— CONAGUA Clima (@conagua_clima) 4 de septiembre de 2017
El ciclón pasó en la mañana del jueves de la pasada semana directamente de tormenta tropical a huracán de categoría 2 y rápidamente se transformó en un huracán mayor, al subir a categoría 4 en la escala de intensidad de Saffir-Simpson, de un máximo de 5.
La primera tormenta tropical de 2017 fue Arlene, que se formó en abril pasado en mitad del Atlántico, más de un mes antes del comienzo de la temporada. A esta siguieron Bret, Cindy, Don, Emily y Franklin, que se convirtió en el primer huracán de la temporada, luego Gert, el segundo huracán, Harvey, que alcanzó la categoría 4, y ahora Irma.
???Irma se intensifica como Huracán Cat. 4???
— UPRM Meteorological (@UPRMetLab) 4 de septiembre de 2017
Vientos: 130 mph
Ubicado en: 16.7N 54.4W
Movimiento: oeste a 13 mph pic.twitter.com/Zn42qi3uaQ