‘Norman’ es categoría 4; no afectará a México

Nacional
/ 30 agosto 2018

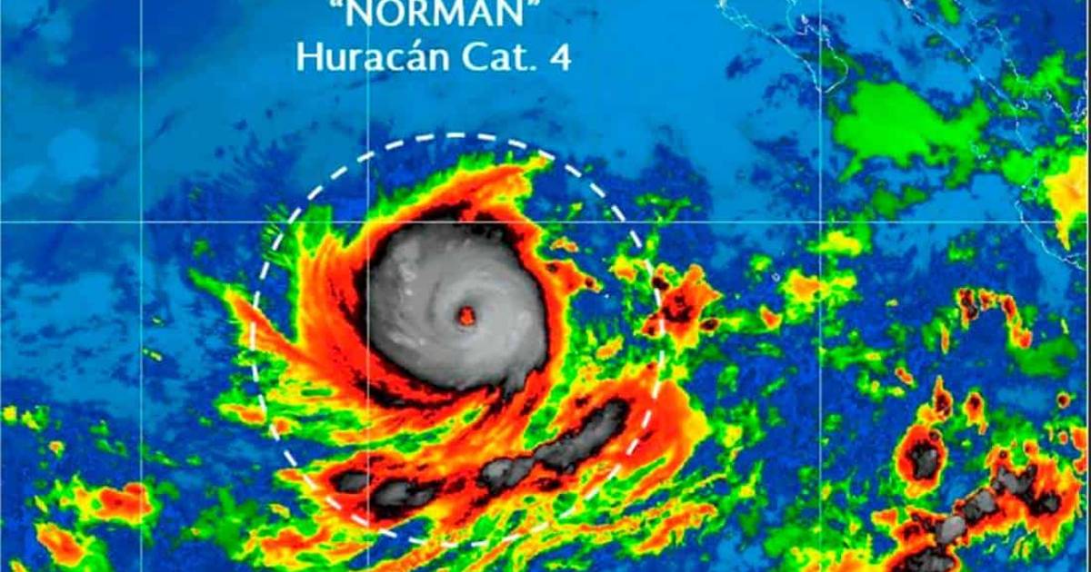
Se encontraba al oeste-suroeste del estado de Baja California Sur pero no afectará a las costas mexicanas.

CDMX.- El huracán “Norman” se intensificó anoche y subió a categoría 4 al tiempo que mantuvo su trayectoria por el Océano Pacífico, informó el Servicio Meteorológico Nacional (SMN) de México.

El SMN indicó que el meteoro se encontraba al oeste-suroeste del estado de Baja California Sur pero no afectará a las costas mexicanas.

“Norman” se encontraba a mil 15 kilómetros al oeste-suroeste de Cabo San Lucas, en el estado de Baja California Sur, y a 755 kilómetros al oeste de Isla Socorro, Colima.

“Norman” es el decimotercer ciclón tropical del Pacífico de los 18 que se prevén en esta temporada en México. 

Con información de agencias

Temas



Somos un medio de comunicación digital e impreso con cinco décadas de historia; nos hemos consolidando como uno de los sitios de noticias más visitados del Noreste de México.

Como medio multiplataforma, nos distinguimos por ofrecer contenidos confiables y de alta calidad, abarcando una amplia gama de temas, desde política y estilo de vida hasta artes y cultura. Además, ofrecemos artículos de análisis, entretenimiento y recursos útiles a través de formatos innovadores en texto, fotografía y video, que permiten a nuestros lectores estar siempre bien informados con las noticias más relevantes del día.

Nos enorgullece tener un equipo editorial compuesto por periodistas especializados en Derechos Humanos, Deportes y Artes.

COMENTARIOS

Selección de los editores