El huracán Fiona de categoría 3 castiga con toda su fuerza al archipiélago de Turcos y Caicos

+ Seguir en Seguir en Google
Internacional
/ 20 septiembre 2022

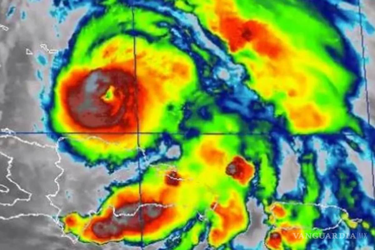
El huracán Fiona convertido en un ciclón de categoría 3, tocó tierra castiga con sus vientos máximos sostenidos de 185 km/h el este del archipiélago de Turcos y Caicos.

Fiona que hasta ahora no ha perdido fuerza sino que la ha ganado, se encontraba a las 08.00 horas (12.00 GMT) a 15 km de la isla de Gran Turco.

Siendo así que todo el archipiélago caribeño que está bajo la soberanía británica, Gran Turco está bajo aviso de huracán y sus autoridades ya ordenaron a los ciudadanos que busquen refugio antes del paso de Fiona.

Según el Centro Nacional de Huracanes (NHC) de Estados Unidos el Fiona, tercer huracán de 2022 en el Atlántico, se mueve hacia el nor-noroeste a 17 km/h y se preve que a partir de esta noche de un giro hacia el norte.

TE PUEDE INTERESAR: Huracán Fiona deja a con daños severos Puerto Rico y ahora a golpea a República Dominicana

Se estima que sus vientos se fortalezcan aun más en los próximos días. Según el cono de trayectoria del NHC, Fiona aparece ubicado a primeras horas del viernes que viene sobre las islas Bermudas con fuerza de huracán mayor.

Actualmente, los vientos con fuerza de huracán se extienden actualmente hasta 45 km del centro de Fiona.

En este sentido, el NHC tiene alertó al sureste de las Bahamas, incluyendo los Acklins, Crooked Island, Long Cay, las Inaguas, Mayaguana y las Islas Ragged, y advirtió que las Bermudas deberán estar atentas a la evolución de Fiona.

TE PUEDE INTERESAR: Huracán Fiona se fortalece y provoca apagón en Puerto Rico

Por el momento, las condiciones de huracán se extendieron sobre las islas Turcos y Caicos y se estima que en las próximas horas comenzarán a sentirse condiciones de tormenta tropical en el sureste de las Bahamas.

En este sentido, los meteorólogos vaticinan lluvias en las islas Vírgenes Británicas y Estadounidenses, en Puerto Rico, República Dominicana y Turcos y Caicos durante las próximas 24 horas.

Así también, debido a la combinación de la marejada ciclónica y la marea provocarán que áreas comúnmente secas cerca de la costa se inunden por el aumento de las aguas moviéndose tierra adentro.

Así mismo, la marejada ciclónica podría aumentar los niveles de agua en hasta 1.5 a 2,4 metros) sobre los niveles normales de marea en zonas de Turcos y Caicos.

Por ahora, las marejadas generadas por Fiona están afectando las Islas Vírgenes Puerto Rico, la costa norte de La Española, las Islas Turcos y Caicos, y el sureste de Bahamas.

Se preve que estas marejadas continuarán extendiéndose hacia el oeste a través del suroeste del Atlántico hacia el centro y noroeste de Bahamas y la costa este de los Estados Unidos hasta mediados de la semana.

Con información de la Agencia EFE.

Temas



Localizaciones



Organizaciones



Con experiencia de 15 años laborando en VANGUARDIA, en el área de redacción.

Licenciado en Psicología por la Universidad Intercontinental, maestría en psicoterapia Gestalt, especialidad en Desarrollo Humano. Se especializa en Terapia Gestalt por el Instituto Humanista de Psicoterapia Gestalt. Además, presta sus servicios como psicoterapeuta al programa Touchinglife para empleados de la empresa MAGNA en Saltillo y Ramos Arizpe desde 2010.

Selección de los editores