La asombrosa ráfaga rompió el récord anterior de vientos fuertes registrado en el Pacífico occidental durante el tifón Megi en 2010, que se verificó en 400 kilómetros por hora
El objetivo de la peligrosa expedición al corazón de uno de los huracanes más volátiles que jamás hayan azotado las islas del Caribe era “recopilar datos cruciales que ayuden a mejorar los pronósticos y la investigación”
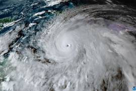
Centro Nacional de Huracanes alertó que las que las marejadas generadas por Melissa continuarán afectando la costa noreste de Estados Unidos y el Atlántico de Canadá, además de las Bahamas, las Bermudas y las Islas Turcas y Caicos
El presidente de Estados Unidos, Donald Trump, anunció que su país está listo para brindar ayuda “humanitaria” a Jamaica y calificó la tormenta como excepcionalmente potente
Conagua pronosticó una serie de efectos climatológicos derivados de los desprendimientos nubosos de Priscilla, que ahora se mantiene como tormenta tropical
El gobierno de Baja California Sur busca garantizar la seguridad de alumnos y docentes, por lo que decidió suspender clases. La medida fue aprobada por la Secretaría de Educación Pública (SEP)