En Vivo: Huracán Irma se aproxima a Cuba y Puerto Rico, piden extremar precauciones
/
6 septiembre 2017
COMPARTIR
El monstruoso huracán Irma llega al Caribe; Florida y Puerto Rico se preparan
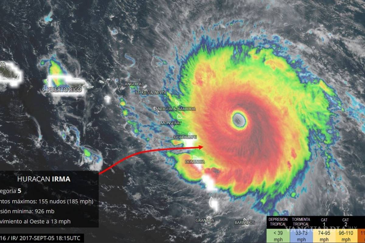
Las Islas del Caribe empezaron a sentir los efectos del poderoso huracán "Irma", los vientos están alcanzando los 295 km/h. El fenómeno se ha trasladado a las ilslas de San Bartolomé y San Martín, se aproxima a Cuba, Puerto Rico y el estado de Florida.
Aquí puedes verificar el trayecto en vivo del huracán:
?wmode=transparent&controls=2&showinfo=0&theme=light">
Video del huracán #Irma a su paso por San Martin. Ahora mismo se dirige a Puerto Rico, R.D, Haiti y Cuba. pic.twitter.com/fNJ34WedBn
— AlOtroLadodelMuro (@_ju1_) 6 de septiembre de 2017
Dios nos proteja ???????? @sergiocarlo
— Laura A. Bonnelly V. (@LaurabonnellyV) 6 de septiembre de 2017
IMAGEN CONFIRMADA. #Irma #IrmaRd Esto es en #Anguilla al este de Puerto Rico pic.twitter.com/LqTsaSVSq8