Huracán 'Dorian' alcanza la categoría 5 mientras se acerca a Estados Unidos

+ Seguir en Seguir en Google
Internacional
/ 1 septiembre 2019

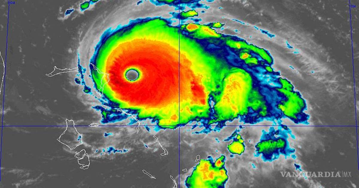
En Bahamas los habitantes se refugian en escuelas, iglesias y otros sitios, ya que los vientos del huracán alcanzan los 260 km/h

Mucha gente se refugió el domingo en escuelas, iglesias y otros sitios del norte de Bahamas mientras se acercaba a la zona Dorian, ahora como un huracán de categoría 5, acompañado de olas, lluvias y vientos potencialmente catastróficos.

El Centro Nacional de Huracanes, con sede en Miami, informó que los vientos máximos sostenidos de Dorian aumentaron a 260 km/h desde los 240 km/h previos. Se movía hacia el oeste a 13 km/h.

"Se esperan condiciones devastadoras de huracanes en las Islas Abacos en la madrugada del domingo y a lo largo de la Isla de Gran Bahama más tarde en el día, informó el Centro.

De Florida a las Carolinas, millones de personas seguían con preocupación las noticias sobre Dorian, en medio de cálculos de que podría virar bruscamente al noreste tras pasar por Bahamas y dirigirse a la costa sureste de Estados Unidos.

Sin embargo, las autoridades advirtieron que incluso aunque su vórtice no toque tierra en territorio estadounidense y permanezca sobre el mar, es probable que los vendavales y el oleaje intenso que acompañan al meteoro golpeen las zonas costeras de Estados Unidos.

En la región norte del archipiélago de Bahamas, los hoteles cerraron los vecinos cubrieron sus ventanas de tablones y las autoridades contrataron embarcaciones para llevar a la gente de zonas bajas a islas más grandes ante el avance de Dorian.

El primer ministro de Bahamas, Hubert Minnis, advirtió que Dorian era una “tormenta devastadora y peligrosa” y dijo que cualquiera “que no evacúe se pone en extremo peligro y puede esperar una consecuencia catastrófica”.

Pequeñas embarcaciones hacían trayectos entre poblaciones pesqueras exteriores y McLean’s Town, un asentamiento de una docena de viviendas en el extremo oriental de la isla Gran Bahama, a unos 240 kilómetros (150 millas) de la costa atlántica de Florida. La mayoría de la gente llegó de Cayo Sweeting, un pueblo pesquero de unos cientos de personas que se encuentra 1,5 metros (5 pies) sobre el nivel del mar.

“No vamos a correr ningún riesgo”, dijo Margaret Bassett, pilota de transbordador para el complejo turístico Deep Water Cay. “Si dicen que evacuemos, hay que evacuar”.

El huracán, que avanza despacio, podría descargar hasta un metro de agua a lo largo de dos o tres días, acompañando las lluvias de vientos devastadores y una crecida peligrosa en el nivel del mar llamada marejada ciclónica, advirtió el meteorólogo privado Ryan Maue, que coincidía con algunas de las simulaciones informáticas más fiables.

Se esperaba que la tormenta afectara a unas 73 mil personas y 21.000 viviendas, indicó el portavoz del gobierno Kevin Harris. Las autoridades cerraron los aeropuertos de las islas Abaco, Gran Bahama y Bimini, aunque el de Lynden Pindling, en la capital, Nassau, permanecía abierto.

Jeffrey Allen, que vive en Freeport, en Gran Bahama, dijo que si bien tras varias tormentas ha aprendido que en ocasiones las predicciones de daños no se cumplen, sigue tomando precauciones.

“Es casi como si uno estuviera a la expectativa, esperando que nunca sea tan malo como dicen, pero aun así uno se prepara para lo peor”, añadió.

De acuerdo con las autoridades, el archipiélago de las Bahamas, propenso a enfrentar tormentas, recibe el golpe directo de un huracán cada cuatro años, en promedio.

Después de golpear las islas norteñas, se espera que Dorian pudiera bordear la costa del sureste, manteniéndose justo frente a Florida y Georgia el martes y miércoles, antes de rodearb

El gobernador de Carolina del Sur, Henry McMaster, declaró un estado de emergencia el sábado y activó recursos estatales para prepararse para los posibles efectos de la tormenta. El presidente Donald Trump ya había declarado estado de emergencia en Florida y autorizado que la Agencia Federal para el Manejo de Emergencias coordinara las acciones de atención a desastres.

El Centro Nacional de Huracanes explicó que el riesgo de fuertes vientos y niveles elevados de agua aumentarán a lo largo de la costa de Georgia y las Carolinas para mediados de la semana.

Por su parte, el gobernador de Florida, Ron DeSantis, advirtió a la población que no bajará la guardia.

Temas



Localizaciones



Es un diario mexicano de circulación nacional especializado en economía, finanzas, negocios y política que se imprime en la Ciudad de México. Es propiedad de Grupo Multimedia Lauman.

El Financiero fue el primero diario de esta categoría en el país.

Selección de los editores