“Huracán Irma tiene potencial para devastar Florida”: gobernador Rick Scott

+ Seguir en Seguir en Google
Internacional
/ 6 septiembre 2017

El mayor huracán del Atlántico se aproxima a Puerto Rico tras arrasar Barbuda y Saint-Martin y mantiene la región en alerta roja

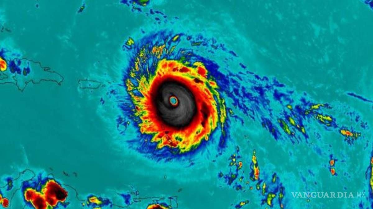
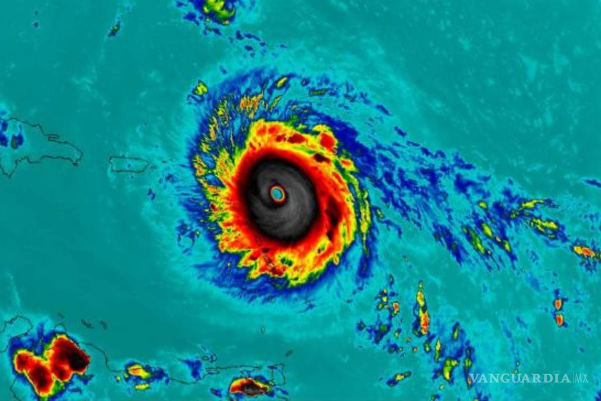
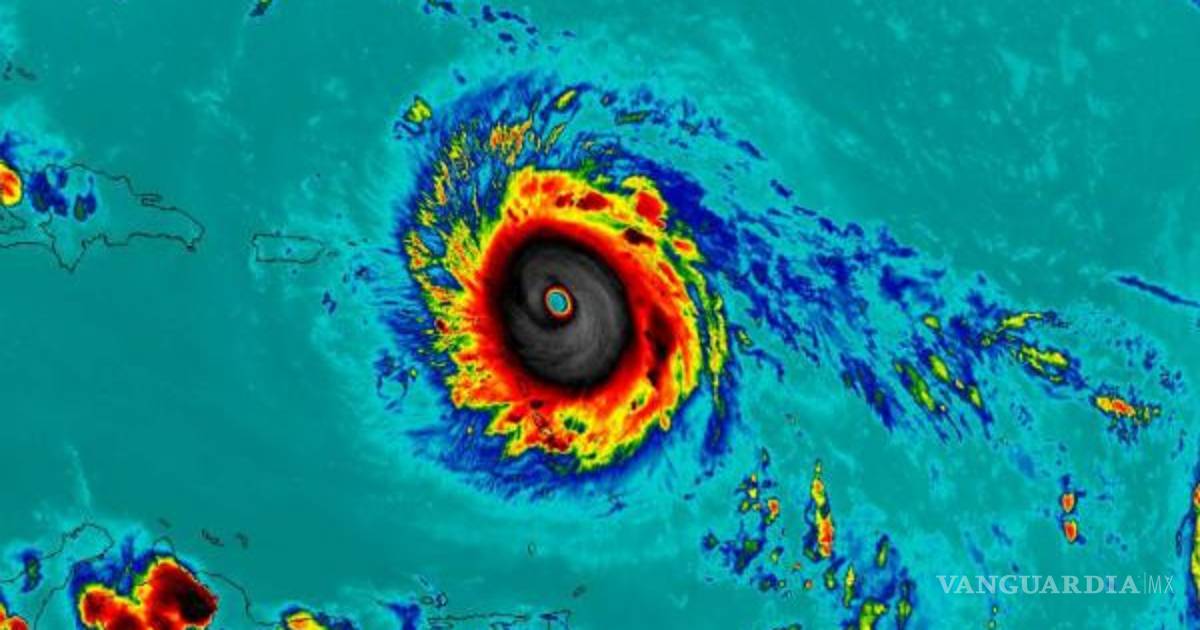
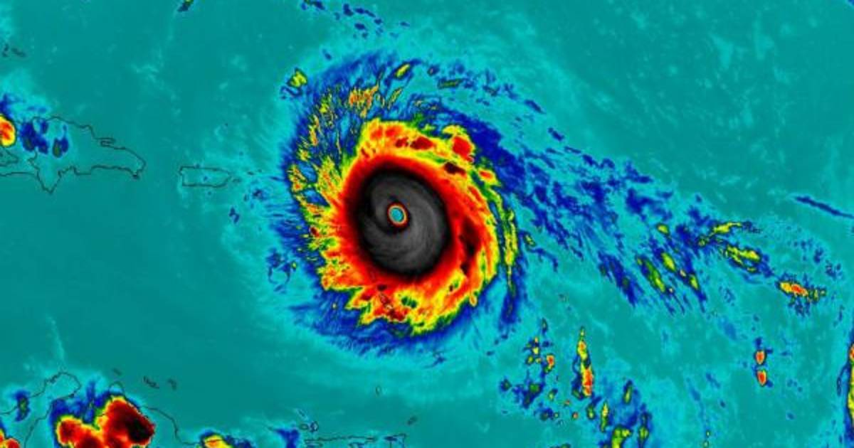
El huracán Irma, el mayor jamás registrado en el océano Atlántico, con categoría máxima (5), una longitud de unos 200 kilómetros y vientos sostenidos de 297 kilómetros hora, ha barrido esta mañana las islas orientales del Caribe mientras toda la región desde Puerto Rico hasta Florida se mantiene en alerta roja. Irma ha golpeado de madrugada con "extrema violencia" las islas de Barbuda, San Bartolomé y San Martín con inundaciones y vientos fortísimos y destrozando infrastructuras, aunque aún no hay datos precisos de daños materiales o humanos. El gobernador de Florida, Rick Scott, ha dicho esta mañana que se prepararan para una tormenta "con potencial para devastar nuestro estado". Scott recalcó que Irma "es más grande, más fuerte y más rápida que Andrew" en referencia al huracán de 1992, el más dañino en la historia reciente de la península de Florida.

Las proyecciones del Centro Nacional de Huracanes de EE UU indican que Irma pasará este miércoles por el norte de Puerto Rico –sin impactar contra esta isla de lleno pero afectándola lateralmente–. El jueves podría afectar indirectamente a República Dominicana y a Haití y el viernes a Cuba. Todo apunta a que el fin de semana el demesurado huracán llegará a Florida. El ciclón avanza a 22 kilómetros por hora, su longitud es de unos 200 kilómetros y el radio de impacto de sus rachas de aire desde el núcleo de la tomenta, 75 kilómetros.

Irma se cierne sobre el Caribe días después del paso del huracán Harvey por Texas, que dejó al menos 60 muertos y daños materiales en torno a los 200.000 millones de dólares con inundaciones de un calibre nunca visto en la zona. El presidente de EE UU, Donald Trump, escribió esta mañana en Twitter que su equipo supervisa de cerca la situación y concluyó: "¡Parece ser que es el mayor huracán nunca registrado en el Atlántico!".

Las predicciones indican que el huracán irá recorriendo el Caribe en dirección noroeste y que el viernes pasará entre Bahamas y Cuba. El rumbo que tome a partir de ahí es todavía impreciso, aunque los modelos predictivos muestran ya una clara tendencia a que entre a EE UU por el sur de Florida, barriendo los turísticos cayos –donde las autoridades han ordenado a los turistas que empiezan a evacuar la zona el miércoles por la mañana– y la zona metropolitana de Miami.

Los meteorólogos recalcan que los modelos de predicción del rumbo de los huracanes dejan de ser precisos más allá de las 72 horas de proyección. El margen de error de la predicción a cuatro o cinco días vista es de 280 a 360 kilómetros.

 

El estado de Florida ha declarado desde el lunes el estado de emergencia en sus 67 condados y su gobierno trabaja codo con codo con el Gobierno federal. La península es la prioridad nacional ante la llegada de Irma. La Guardia Nacional está lista para desplegar 30.000 rescatistas, 4.000 camiones especiales y 100 helicópteros para auxiliar a la población de Florida.

El alcalde de Miami-Dade, Carlos Giménez, también ha declarado el estado de emergencia. Este miércoles podría iniciarse la evacuación de las zonas costeras más vulnerables de la ciudad, como Miami Beach. "Es una tormenta muy poderosa", dijo el alcalde. "Prefiero incomodar a los vecinos que perder vidas". El director de emergencias del condado de Monroe (donde están los cayos, centro turístico de la región) ha aseverado: "Si alguna vez ha habido una tormenta que tomarse muy en serio, es esta". En Miami la alerta se siente en la enorme cantidad de compradores que acuden a los supermercados para abastecerse de víveres y en las largas colas en las gasolineras. Muchas estaciones de servicio que ya se han quedado sin combustible. Las escuelas, extremando la cautela, estarán cerradas a partir del jueves (incluido). En las carreteras de Florida se ha dejado de cobrar en los peajes desde la cinco de la tarde de este martes, hora local.

Los residentes de las islas de las Antillas Menores apuran sus preparativos de última hora. Ya este lunes de tarde comenzaban a formarse colas para llenar los tanques de los vehículos, mientras las autoridades cancelaban vuelos, habilitaban albergues y cerraban las escuelas.

En Puerto Rico, el gobernador Ricardo Rosselló ha anunciado la habilitación de albergues para 62.000 personas, así como la suspensión de las clases. El director de la División del Caribe de la Agencia Federal para el Manejo de Emergencias (FEMA), Alejandro de la Campa, ha dicho que un portaaviones estadounidense fue movilizado para ayudar en casos de emergencia. El portaaviones cuenta con 30 helicópteros, equipo anfibio y un hospital. El servicio eléctrico de Puerto Rico advierte de que Irma podría dejar seriamente dañada la red de electricidad de la isla hasta seis meses. El huracán llega en un momento crítico para la isla, inmersa en la bancarrota y con una deuda de 120.000 millones de dólares.

Santo Domingo y Haití (arrasado en 2016 por el huracán Matthew, que dejó más de mil muertos) también esperan en alerta máxima al huracán, aunque por la tayectoria ascendente hacia el noroeste que está siguiendo podría pasar sin impactar de lleno contra el grueso de sus territorios. En Cuba, el Estado Mayor Nacional de la Defensa Civil ha empezado a informar a través de los medios de comunicación de la proximidad del "evento extremo" y de su "peligro potencial", llamando a la población a mantenerse atenta.

Con Irma tocando a la puerta del Caribe, el Centro de Huracanes ha detectado la formación en el Atlántico de la tormenta José a 2.400 kilómetros al Este de las Antillas Menores. El viernes José podría convertirse en un huracán avanzando por el Atlántico y el sábado podría, siguiendo la estela de Irma, estar llegando a la región caribeña. Pero es pronto para precisar su rumbo y su fuerza.

 

Localizaciones



Personajes



Es un periódico fundado en 1976. Se redacta en español aunque algunas versiones autonómicas utilizan otros idiomas en algunos suplementos, su contenido son noticias de última hora sobre la actualidad en España y el mundo: política, economía, deportes, cultura, sociedad, tecnología, gente, opinión, viajes, moda, entre otros.

Selección de los editores