Huracán María se fortalece a categoría 5

+ Seguir en Seguir en Google
Internacional
/ 18 septiembre 2017
AP
por AP

TEMAS


Localizaciones


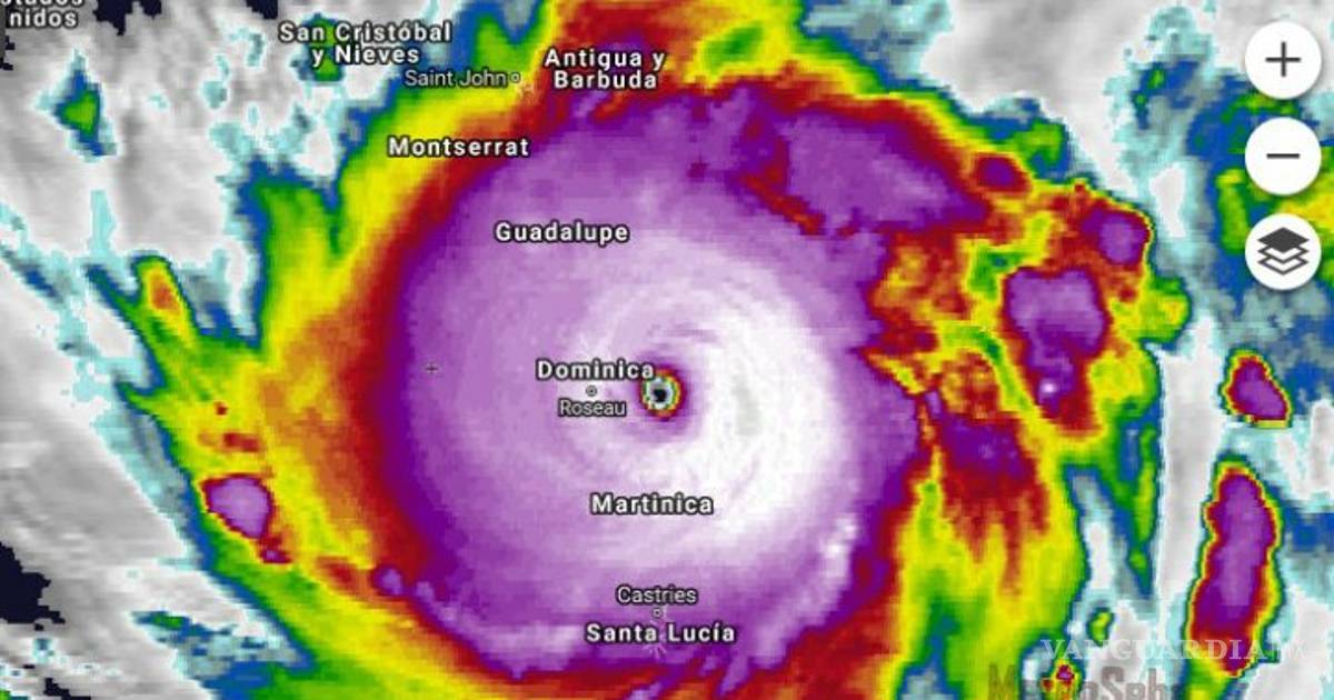
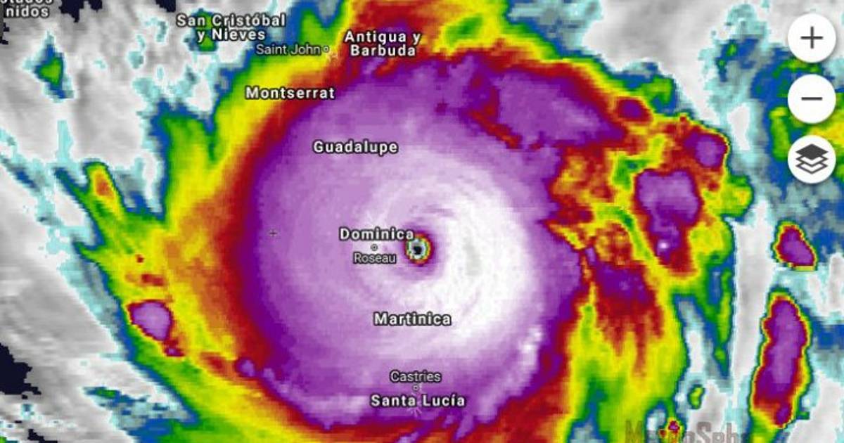
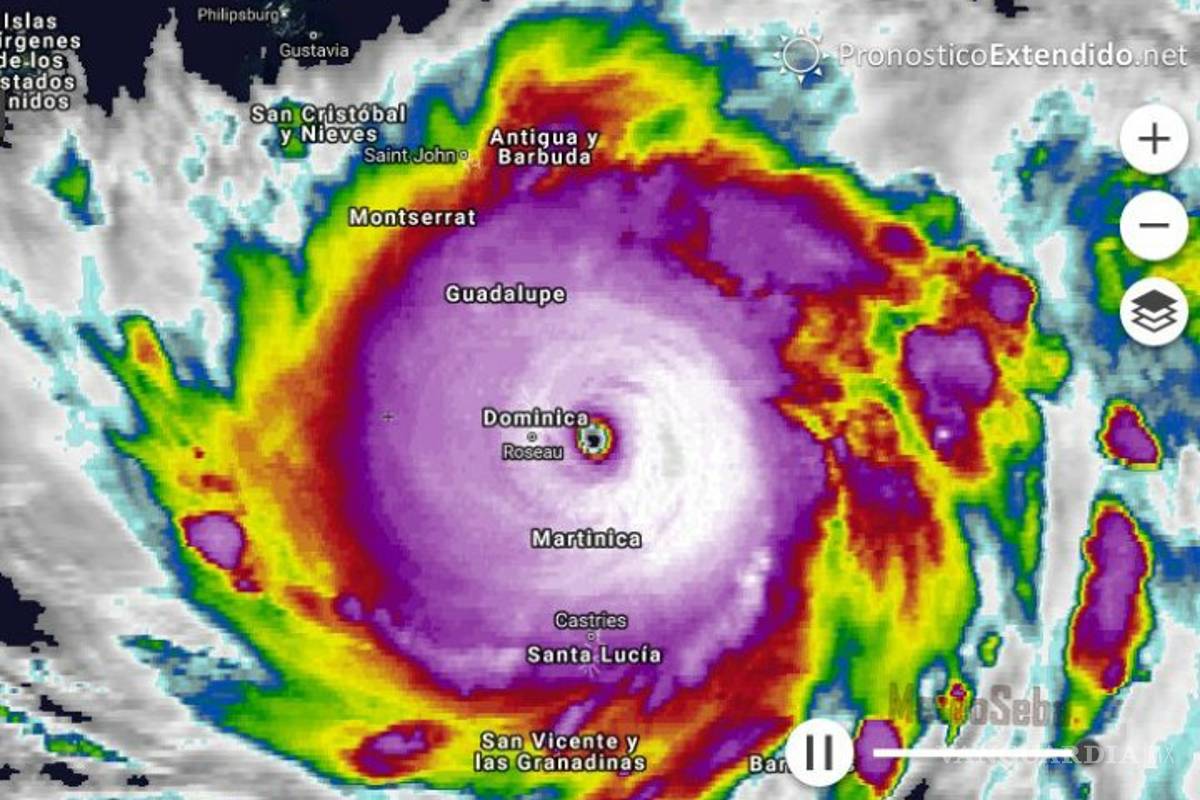
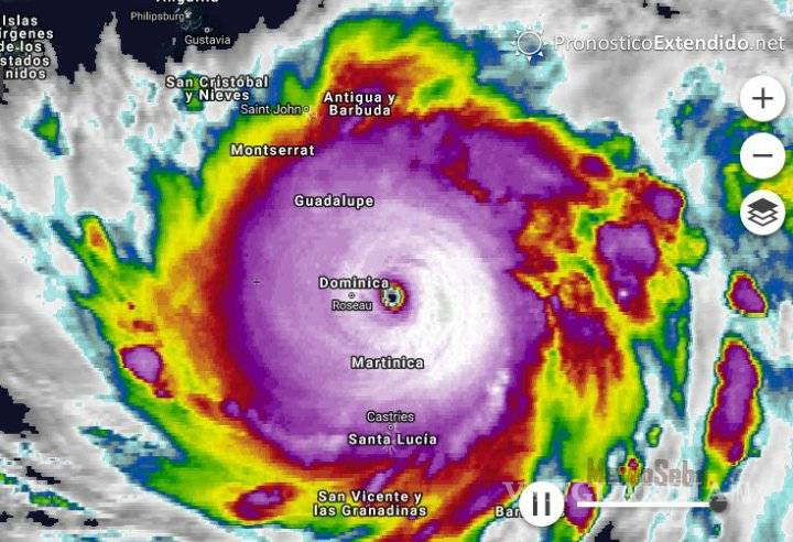
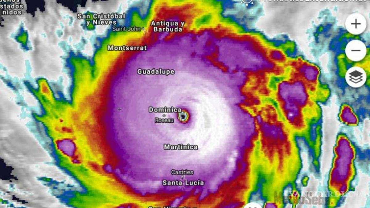
Los aviones cazahuracanes de la Reserva de la Fuerza Aérea detectaron que los vientos máximos de María alcanzaron los 260 kilómetros por hora

El Centro Nacional de Huracanes (NHC por sus siglas en inglés) anunció que el ciclón "María"  tomó fuerzas y se elevó a un "extremadamente peligroso" huracán de categoría 5 en la escala Saffir-Simpson.

Las autoridades dominicanas permanecen atentas a la evolución y trayectoria de “María” que se desplaza en dirección oeste-noroeste hacia las Antillas Menores.

El ministro de la Presidencia, Gustavo Montalvo, encabezó este lunes una reunión con los organismos de emergencia, socorro y defensa, para coordinar las respuestas ante los efectos que el ciclón pueda causar en el país.

El presidente dominicano, Danilo Medina, quien viajó el domingo a Nueva York para asistir a la Asamblea General de Naciones Unidas, anunció que adelantó su regreso para este lunes mismo ante la situación planteada.

Tras participar en la sede de Naciones Unidas en un encuentro sobre el impacto del huracán “Irma” en los países del Caribe, Medina dijo a la prensa que ante la evolución del huracán “María”, volvìa a su país.

"No quiero dejar ningún cabo suelto, yo quiero estar ahí", dijo.

De mantener la trayectoria estimada por el Centro Nacional de Huracanes de Estados Unidos “María” estaría aproximándose al noreste dominicano el jueves próximo, justo dos semanas después de que el huracán “Irma” discurriese en paralelo por la costa atlántica del país, causando solo daños materiales.

Los meteorólogos del CNH pronostican que el ojo del ciclón, que se mueve hacia el oeste noroeste a una velocidad de 15 kilómetros por hora pase en las próximas horas cerca de Dominica y adyacente a las islas de Sotavento.

Prevén que esta noche y mañana martes se moverá sobre el extremo noreste del mar Caribe, y en la noche del martes y el miércoles se aproximará a Puerto Rico y las Islas Vírgenes.

República Dominicana y Puerto Rico están separados por el canal de la Mona en aguas del mar Caribe.

En los últimos días ha estado lloviendo en las zonas suroeste, noreste, valle del Cibao y el sureste de República Dominicana, a consecuencia de una vaguada y onda tropical.

Temas



Localizaciones



AP (Associated Press) es una agencia de noticias de Estados Unidos fundada en 1846. Es una cooperativa propiedad de sus periódicos, y estaciones de radio y televisión contribuyentes en los Estados Unidos, que tanto aportan historias como utilizan el material escrito por la misma.

La agencia produce contenido multimedia a medios y audiencias en varios idiomas sobre noticias de última hora hasta datos electorales y conflictos internacionales.

Selección de los editores