‘Melissa’ toca tierra como huracán categoría 5 en Jamaica con vientos catastróficos y lluvias torrenciales

+ Seguir en Seguir en Google
Internacional
/ 28 octubre 2025

TEMAS


Localizaciones


Organizaciones


SMN
NHC

‘Melissa’ mantendrá su intensidad extrema antes de cruzar el sureste de Cuba el miércoles y llegar a las Bahamas el jueves

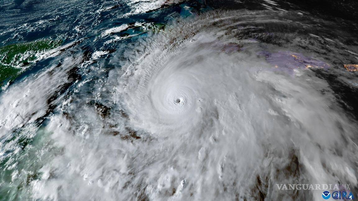
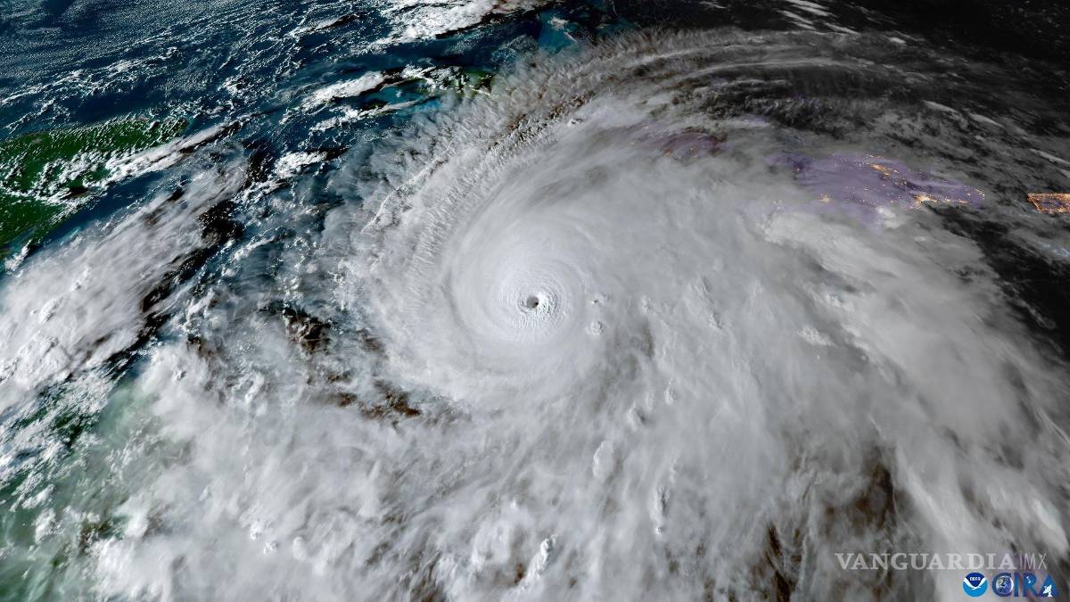
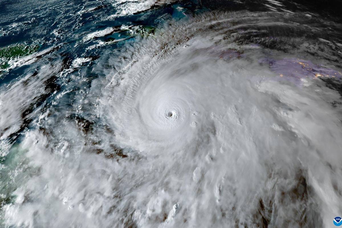
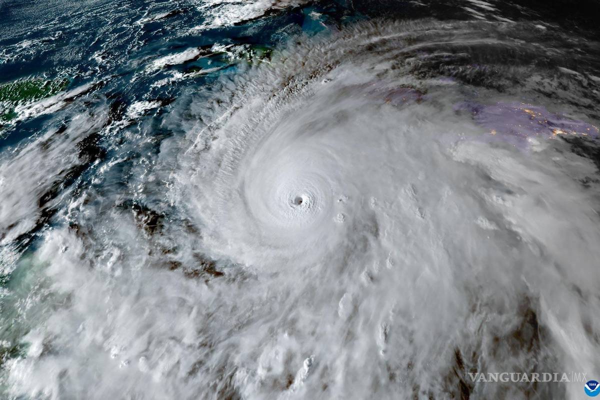
El potente huracán Melissa’ categoría 5 tocó este martes tierra en Jamaica con vientos máximos sostenidos cercanos a 295 kilómetros por hora (km/h), lluvias torrenciales y marejadas que amenazan con provocar inundaciones y daños catastróficos.

El ciclón, el de mayor intensidad esta temporada en el Atlántico, entró a Jamaica cerca de la localidad de Black River, en el suroeste de la isla, convertido en un huracán de categoría 5, informó el Centro Nacional de Huracanes (NHC, en inglés) de Estados Unidos.

TE PUEDE INTERESAR: SRE alerta a mexicanos en Jamaica por ‘Melissa’, huracán categoría 4

El organismo prevé que ‘Melissa’ mantenga su intensidad extrema antes de cruzar el sureste de Cuba el miércoles y llegar a las Bahamas el jueves.

Se trata del primer huracán que toca tierra en el Atlántico como categoría 5 desde 2019, cuando ‘Dorian’ golpeó en Bahamas.

El NHC, con sede en Miami, advirtió de que el huracán viene acompañado de “vientos catastróficos” y solicitó a la población de Jamaica que busque refugio de manera inminente puesto que se trata de una situación “extremadamente peligrosa y que amenaza la vida”.

El huracán se desplaza actualmente a unos 7 kilómetros por hora en dirección nornoreste, lo que podría empeorar la devastación que ocasione en tierra.

Melissa’ generará lluvias acumuladas de entre 38 y 76 centímetros sobre la isla, con máximos de hasta 1 metros, lo que provocará inundaciones repentinas y deslizamientos de tierra generalizados, según el NHC.

Por otro lado, de acuerdo con el Servicio Meteorológico Nacional (SMN) de la Comisión Nacional del Agua (Conagua) también informó que ‘Melissa’ se encontraba próximo a tocar tierra en Jamaica, localizándose a 60 kilómetros (km) al sureste de la isla y a mil 005 km al este-sureste de Cancún, Quintana Roo.

Presentando vientos máximos sostenidos de 295 km/h, rachas de 350 km/h y de desplaza hacia el nor-noreste a 15 km/h, por lo que debido a su distancia y trayectoria, el sistema no representa riesgo para México.

TE PUEDE INTERESAR: Huracán Melissa se fortalece a categoría 4 y amenaza con intensificarse a categoría 5

CICLONES EN EL ATLÁNTICO

Con ‘Melissa’ ya suman 13 los ciclones de esta temporada en el Atlántico: los huracanes ‘Erin’, ‘Gabrielle’, ‘Humberto’ e ‘Imelda’, y las tormentas ‘Andrea’, ‘Barry’, ‘Chantal’, ‘Dexter’, ‘Fernand’, ‘Jerry’, ‘Karen’, ‘Lorenzo’ y ‘Melissa’, entre las que ‘Chantal’ ha sido la única en tocar tierra en Estados Unidos en julio, dejando dos muertos en Carolina del Norte.

La Administración Nacional Oceánica y Atmosférica (NOAA, en inglés) predijo una temporada ciclónica “superior a lo normal”, al estimar entre 13 y 18 tormentas tropicales, de las que entre cinco y nueve podrían transformarse en huracanes.

ASÍ PUEDE EVOLUCIONAR UNA ZONA DE BAJA PRESIÓN

1. Zona de baja presión: Es la etapa inicial. Se forma cuando el aire cálido y húmedo del océano asciende, generando una caída en la presión atmosférica. Esto provoca inestabilidad y nubosidad. Si las condiciones son favorables (aguas cálidas, poca cizalladura del viento y humedad suficiente), el sistema puede empezar a organizarse.

2. Disturbio tropical: Es una agrupación de tormentas con una cierta organización, pero aún sin circulación cerrada del viento. En esta etapa, el sistema está siendo monitoreado por centros meteorológicos. A menudo se producen lluvias y tormentas eléctricas.

3. Depresión tropical: Cuando el sistema desarrolla una circulación cerrada y definida de vientos en superficie y su velocidad no supera los 62 km/h (39 mph), se le llama depresión tropical. Aquí comienza a tener un centro más claro y puede intensificarse rápidamente.

4. Tormenta tropical: Si los vientos sostenidos alcanzan entre 63 y 118 km/h (39 a 73 mph), el sistema se convierte en una tormenta tropical. Recibe un nombre oficial y presenta una estructura más organizada. Puede producir fuertes lluvias, vientos y oleaje elevado.

5. Huracán o ciclón tropical: Cuando los vientos sostenidos superan los 119 km/h (74 mph), el fenómeno se clasifica como huracán (en el Atlántico y noreste del Pacífico) o ciclón tropical (en el Océano Índico o Pacífico Sur). Se forman bandas nubosas bien organizadas y un ojo en el centro del sistema. A partir de aquí, se clasifican en categorías del 1 al 5 según la Escala Saffir-Simpson, en función de la intensidad del viento.

TE PUEDE INTERESAR: Ingresa Frente Frío 11 a México; junto a Masa de Aire Frío bajarán la temperatura en estos estados

¿QUÉ ES UNA DEPRESIÓN TROPICAL?

Una depresión tropical es como se denomina a un ciclón, caracterizándose por presentar vientos máximos sostenidos de 62 kilómetros por hora (km/h) o menos.

Se le considera como una etapa inicial de desarrollo de un ciclón tropical, antes de convertirse en tormenta tropical o huracán, pero también es un fenómeno que suele formarse tras el impacto del huracán.

Es considerada como la forma más débil dentro de los ciclones tropicales, puede causar inundaciones, deslizamiento de tierra y afectaciones locales, especialmente en regiones vulnerables o con mal drenaje.

¿QUÉ ES UN CICLÓN TROPICAL?

Un ciclón tropical es una poderosa tormenta atmosférica caracterizada por un sistema de baja presión, vientos fuertes y lluvias intensas que se forma sobre los océanos tropicales. Estos sistemas se alimentan del calor del agua del océano y se desarrollan en regiones donde las temperaturas superficiales del mar son de al menos 26.5°C (aproximadamente 80°F).

Los ciclones tropicales se clasifican en diferentes categorías según la velocidad máxima del viento sostenido en su centro, utilizando la escala de huracanes Saffir-Simpson para los ciclones del Atlántico y el este del Pacífico. Estos sistemas pueden tener diferentes nombres según la región geográfica donde se forman, siendo llamados huracanes en el Atlántico y el noreste del Pacífico, tifones en el noroeste del Pacífico, y ciclones tropicales en el océano Índico y el suroeste del Pacífico.

Los ciclones tropicales pueden tener impactos devastadores, incluyendo vientos destructivos, marejadas ciclónicas y fuertes precipitaciones, lo que puede causar inundaciones, deslizamientos de tierra y daños severos a la infraestructura y la propiedad. Por esta razón, es importante monitorear y seguir las advertencias y consejos de los servicios meteorológicos y las autoridades locales durante la temporada de huracanes o ciclones tropicales.

¿QUÉ ES UNA TORMENTA TROPICAL?

Se define por ser un ciclón tropical con vientos de entre 62 km/h y 117 km/h, que determinan la fortaleza de los daños, por lo que entre más velocidad tenga, más fuerte será su paso y devastación.

Siendo un paso antes de que se formen huracanes, según la velocidad.

Según el Servicio Nacional del Clima en Estados Unidos, las tormentas tropicales pueden ser ‘devastadoras’, debido a que “las inundaciones por lluvias torrenciales y el tiempo severo, como los tornados, pueden causar daños extensos y pérdida de vidas humanas”.

TE PUEDE INTERESAR: Se forma la tormenta tropical ‘Melissa’ en el Caribe; puede convertirse en huracán

¿QUÉ ES UN HURACÁN?

Un huracán es un ciclón tropical extremadamente poderoso y destructivo que se desarrolla sobre las aguas cálidas del océano, típicamente en regiones cercanas al ecuador. Los huracanes se forman a partir de disturbios atmosféricos que adquieren rotación debido a la rotación de la Tierra y a la convergencia de los vientos en la superficie.

Los huracanes se caracterizan por tener vientos sostenidos de al menos 119 kilómetros por hora (74 millas por hora) y pueden alcanzar velocidades mucho más altas. Estas tormentas también producen lluvias intensas, marejadas ciclónicas (elevación anormal del nivel del mar) y a menudo generan tornados.

Los huracanes se clasifican en diferentes categorías según la velocidad máxima del viento sostenido en su centro, utilizando la escala de huracanes Saffir-Simpson. Esta escala va del huracán de categoría 1, con vientos de 119 a 153 kilómetros por hora, hasta el huracán de categoría 5, con vientos superiores a 252 kilómetros por hora.

Los huracanes pueden tener impactos devastadores en las áreas que afectan, causando inundaciones, destrucción de propiedades, interrupción de servicios básicos y, en los peores casos, pérdida de vidas humanas. Es fundamental estar preparado y seguir las instrucciones de las autoridades locales cuando se aproxime un huracán.

CATEGORÍAS DE UN HURACÁN

La escala de huracanes Saffir-Simpson es la que se utiliza para clasificar la intensidad de los huracanes basándose en la velocidad del viento y sus posibles efectos en tierra. Esta escala tiene cinco categorías, numeradas del 1 al 5:

Categoría 1: Huracán leve. Vientos de 119 a 153 km/h (74 a 95 mph). Daños principalmente a árboles, carteles y casas móviles. Las marejadas ciclónicas pueden inundar áreas bajas cerca de la costa.

Categoría 2: Huracán moderado. Vientos de 154 a 177 km/h (96 a 110 mph). Daños más significativos a edificaciones y árboles. Las marejadas ciclónicas pueden inundar áreas costeras hasta varios cientos de metros tierra adentro.

Categoría 3: Huracán severo. Vientos de 178 a 208 km/h (111 a 129 mph). Daños extensos a edificaciones, árboles y tendido eléctrico. Las marejadas ciclónicas pueden causar inundaciones significativas tierra adentro.

Categoría 4: Huracán extremadamente severo. Vientos de 209 a 251 km/h (130 a 156 mph). Daños catastróficos a edificaciones, árboles y tendido eléctrico. Las marejadas ciclónicas pueden penetrar varios kilómetros tierra adentro.

Categoría 5: Huracán catastrófico. Vientos de más de 252 km/h (157 mph). Daños catastróficos a casi todas las estructuras, con la posibilidad de que muchas edificaciones queden completamente destruidas. Las marejadas ciclónicas pueden penetrar profundamente tierra adentro, dejando áreas inhabitables por semanas o meses.

TE PUEDE INTERESAR: Sería una ‘temporada de huracanes muy peligrosa’, adelanta la OMM

¿QUÉ HACER EN CASO DE HURACÁN?

En caso de huracán, es crucial seguir las recomendaciones de los servicios de emergencia y las autoridades locales para proteger tu vida y la de tus seres queridos. Aquí hay algunas acciones que puedes tomar para prepararte y mantener la seguridad durante un huracán:

Mantente informado: Sigue las actualizaciones meteorológicas y las advertencias de huracanes proporcionadas por los servicios meteorológicos y las autoridades locales. Utiliza fuentes confiables de información.

Prepara suministros: Abastece un kit de suministros de emergencia que incluya agua potable, alimentos no perecederos, medicamentos, linternas, pilas, un radio de emergencia, documentos importantes y suministros básicos de primeros auxilios.

Refuerza tu hogar: Asegura puertas y ventanas con tablones de madera o contraventanas. Retira objetos al aire libre que puedan convertirse en proyectiles durante la tormenta.

Planifica una ruta de evacuación: Si vives en una zona propensa a inundaciones o marejadas ciclónicas, planifica una ruta de evacuación y mantente listo para evacuar si las autoridades locales lo ordenan.

Almacenamiento seguro de objetos: Guarda objetos importantes en lugares seguros y elevados para protegerlos de posibles inundaciones.

Mantente en un lugar seguro durante la tormenta: Quédate en el interior de un edificio sólido y seguro durante la tormenta. Evita las ventanas y las puertas exteriores. Si es necesario, busca refugio en una habitación interior sin ventanas.

Evita conducir durante la tormenta: Evita conducir o caminar por áreas inundadas. Las inundaciones repentinas pueden ser extremadamente peligrosas.

Mantén la calma y ayuda a los demás: Mantén la calma y ayuda a aquellos que puedan necesitar asistencia, especialmente a personas mayores, niños y personas con discapacidades.

Recuerda que la preparación y la prevención son clave para minimizar los riesgos y mantener la seguridad durante un huracán.

(Con información de EFE)

Temas



Localizaciones



Organizaciones


SMN
NHC

Editora Web de Breaking News y Trends, con cobertura del día a día en lo nacional e internacional de seguridad, política, derechos humanos y elecciones, para VANGUARDIA MX. Autora de notas de utilidad referente a visas, programas sociales, trends en internet y educación.

Fact Checker de información política, social, científica y fake news que circulan en redes sociales.

Certificada en Periodismo de soluciones por el Centro Knight.

Egresada en Periodismo Multimedia de la Facultad de Ciencias de la Comunicación (FCC) parte de la Universidad Autónoma de Nuevo León (UANL).

Selección de los editores