Tifón 'Halong' sube hasta nivel 5 en sólo tres días; sería uno de los más poderosos jamás vistos
COMPARTIR
La tormenta no representa peligro para ningún área tierra adentro a pesar de ser un evento natural extremo
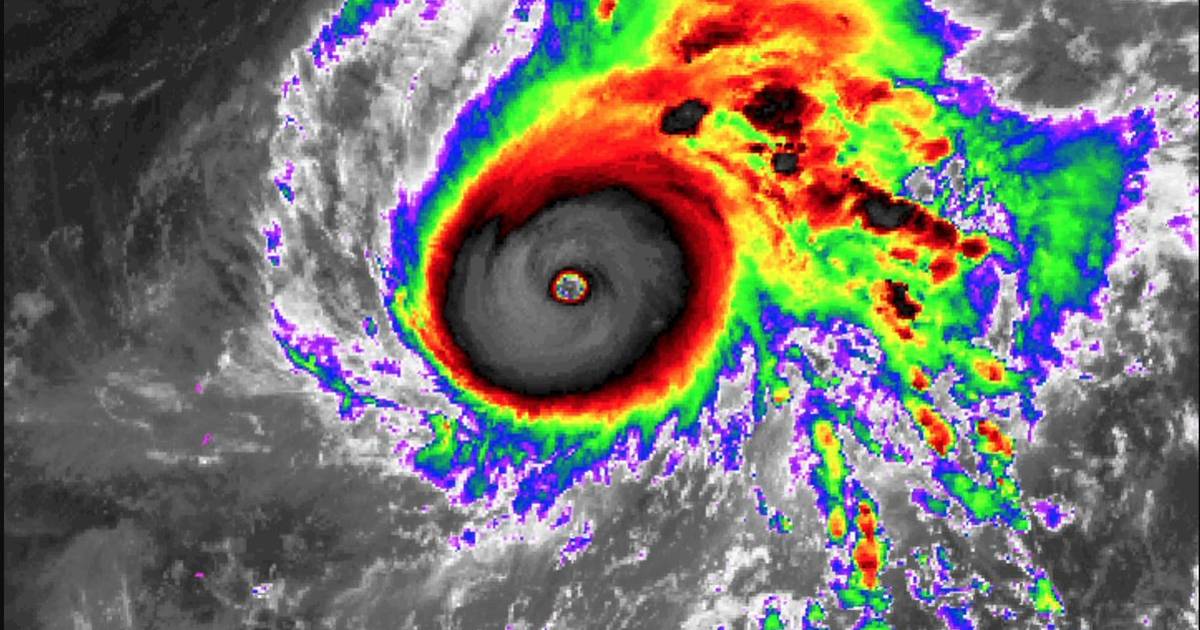
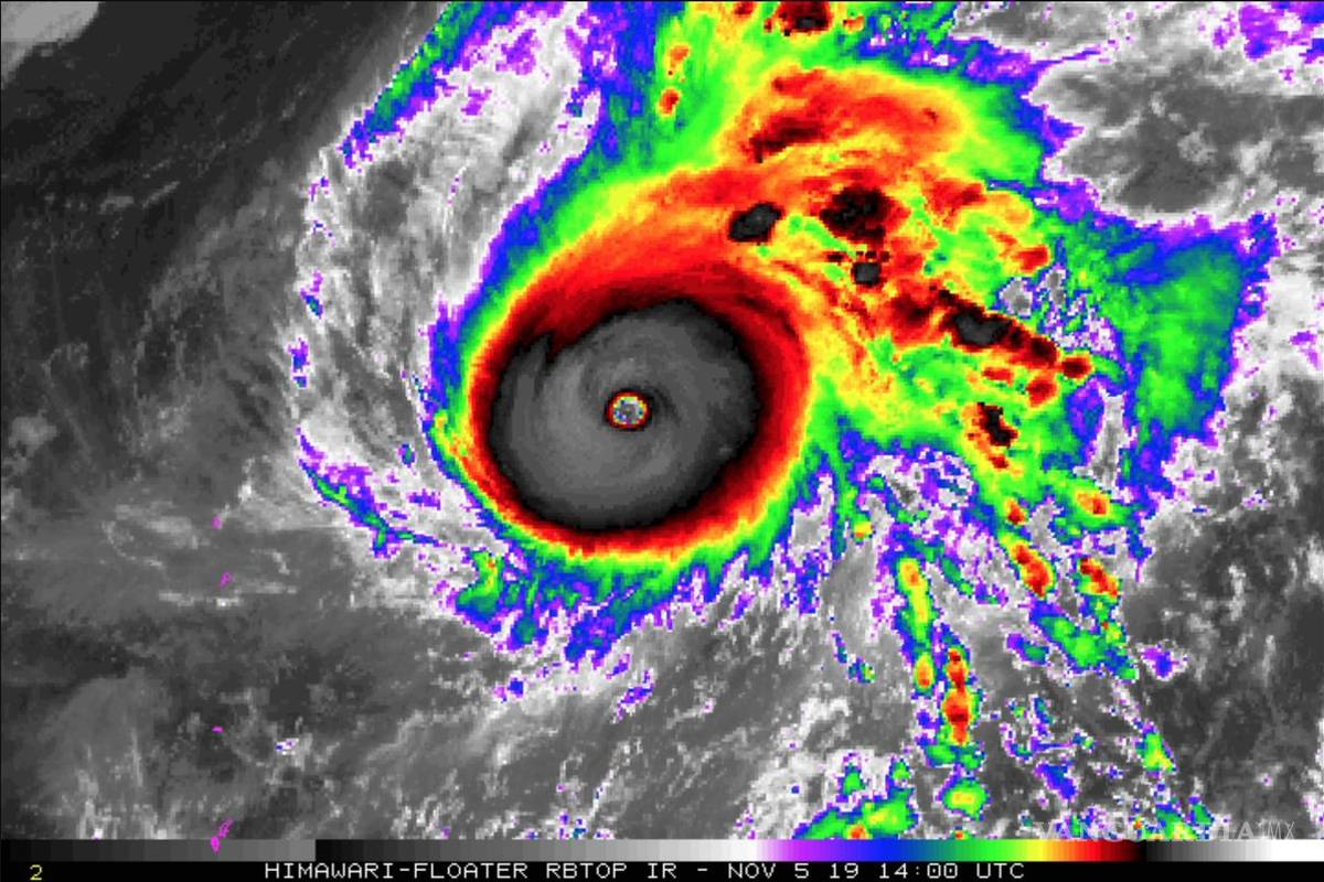
El 'súpertifón' 'Halong', que se desplaza actualmente por el oeste del Océano Pacífico a latitudes cercanas al Trópico de Cáncer, aumentó su intensidad desde una mera depresión tropical hasta alcanzar la categoría 5 en apenas tres días.
Michael Lowry, meteorólogo estadounidense, explicó que la 'megatormenta' se convirtió en uno de los más potentes jamás vistos por satélite desde que se llevan este tipo de registros, a partir de 1979.
El especialista advierte que se trata de un evento natural extremo, pero aclara que la tormenta no representa peligro para ningún área tierra adentro.
It's no stretch to say Super Typhoon #Halong this morning is one of the strongest storms observed *globally* since satellite records began in 1979. An extreme event, but thankfully no threat to land. (satellite via @UWSSEC) pic.twitter.com/IZ2vUIGcvd
— Michael Lowry (@MichaelRLowry) 5 de noviembre de 2019