Huracán Beryl es ‘extremadamente peligroso’, advierte el NCH de EU

+ Seguir en Seguir en Google
Noticias
/ 30 junio 2024

Beryl se convirtió en el huracán de categoría 4 más temprano registrado, superando al huracán Dennis

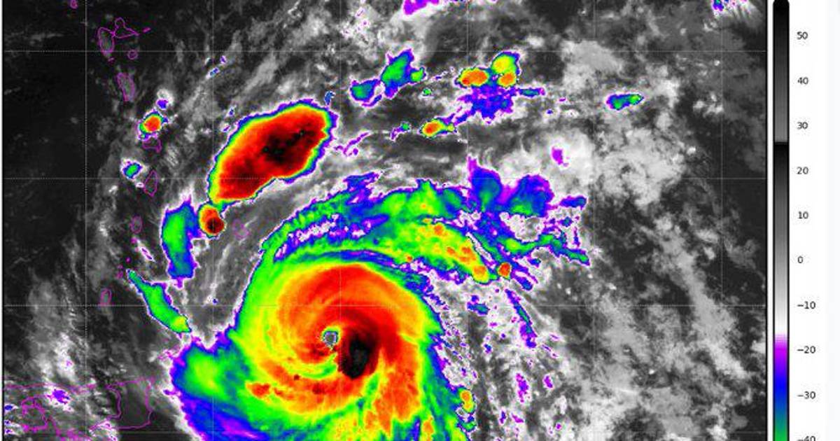
Beryl se ha convertido en un “extremadamente peligroso” huracán categoría 4 en el Océano Atlántico y se espera que traiga vientos potencialmente mortales e inundaciones repentinas a las Islas de Barlovento del Caribe a medida que se fortalece rápidamente hasta el lunes, informó el Centro Nacional de Huracanes de Estados Unidos (NHC).

El primer huracán de la temporada 2024 se localizó a 500 kilómetros al este-sureste de Barbados el domingo al mediodía, con vientos máximos sostenidos de 215 km/h, dijo el NHC en un aviso.

TE PUEDE INTERESAR: Depresión en Golfo de México podría convertirse en la tormenta tropical ‘Chris’, traerá lluvias al centro del país

Se espera que el centro del huracán atraviese el mar Caribe sudoriental y central desde el lunes hasta el miércoles, dijo el NHC, y se espera que siga siendo un huracán de categoría 4 a medida que avanza por las Islas de Barlovento.

Es raro que un huracán importante aparezca tan temprano en la temporada de huracanes del Atlántico, que va del 1 de junio al 30 de noviembre.

El domingo, Beryl se convirtió en el huracán de categoría 4 más temprano registrado, superando al huracán Dennis, que pasó a ser de categoría 4 el 8 de julio de 2005, según datos del NHC.

Se han emitido avisos de huracán en Barbados, Santa Lucía, San Vicente y las Granadinas, Granada y Tobago.

“Una marejada ciclónica que amenaza la vida elevará los niveles de agua entre 6 y 9 pies por encima de los niveles normales de marea”, advirtió el NHC en su aviso.

TE PUEDE INTERESAR: Escala a categoría 4 el huracán ‘Beryl’: SMN anticipa probable amenaza para Quintana Roo y Yucatán

También se espera que grandes y peligrosas olas azoten las costas del sur de Puerto Rico y La Española.

El mes pasado, la Administración Nacional Oceánica y Atmosférica de Estados Unidos predijo una “actividad de huracanes superior a lo normal” en el Atlántico en 2024, en parte debido a temperaturas cálidas del océano casi récord.

Con información de Reuters

Temas



Localizaciones



Organizaciones


SMN
NHC

13 años de experiencia con el departamento Web de VANGUARDIA MX. Cubre temas locales, nacionales e internacionales, virales, de tecnología, salud, economía y sociedad.

Licenciado en Diseño Gráfico por la Universidad Autónoma de Coahuila. Apasionado y practicante del básquetbol, fútbol americano y el gimnasio.

41 años llenos de dudas, pero siempre buscando la verdad allá afuera.

Selección de los editores