Huracán Beryl pegaría dos veces en México, advierte SMN; ¿cuándo tocará tierra?

+ Seguir en Seguir en Google
Noticias
/ 1 julio 2024

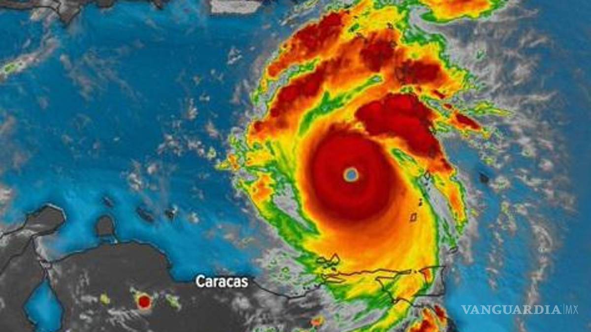
Actualmente, el ojo del sistema tiene un diámetro de 37 kilómetros y se encuentra a unos 2 mil 600 kilómetros de Cancún, Quintana Roo

El Servicio Meteorológico Nacional (SMN) ofreció una conferencia de prensa para informar sobre el estatus del Huracán Beryl, el primero de la temporada 2024 en el océano Atlántico.

El organismo de la Comisión Nacional del Agua (Conagua) informó que el potente ciclón ya tocó tierra como Categoría 4 este lunes 1 de julio en las Antillas Menores y avanzará por el Mar Caribe hasta llegar a México, donde se prevén dos impactos.

TE PUEDE INTERESAR: ¡Impactante, imponente y con relámpagos! Así fue capturado el ojo del huracán Beryl (VIDEOS)

Actualmente, el ojo del sistema tiene un diámetro de 37 kilómetros y se encuentra a unos 2 mil 600 kilómetros de Cancún, Quintana Roo, y se espera que hoy continúe desplazándose con vientos de 230 km/h y rachas de hasta 280 km/h, de acuerdo con el SMN.

Para el martes y miércoles seguirá avanzando hacia el oeste-noroeste por el Mar Caribe y se espera que pierda intensidad y se degrade a Categoría 2.

“El miércoles por la tarde se ubicará aproximadamente a 900 kilómetros de Quintana Roo y se pronostica que el jueves continúe desplazándose en categoría 1 o 2 con vientos máximos sostenidos de 150 km/h y rachas de 205 km/h (...) Se prevé que tocará tierra el jueves por la noche o la madrugada del viernes en el centro-sur de Quintana Roo con vientos mayores a los 120 km/h”.

“Se espera que el viernes cruce la Península de Yucatán e ingrese el sábado al sur del Golfo de México e impactar el domingo en la noche o madrugada del lunes como tormenta tropical en los límites Veracruz y Tamaulipas”, explicó Alejandra Margarita Méndez Girón, coordinadora General del Servicio Meteorológico Nacional, quien pidió a autoridades y población extremar precauciones.

TE PUEDE INTERESAR: ‘Beryl’ tocaría tierras mexicanas como huracán categoría 1 o 2, advierte experto

$!Se prevé que el viernes cruce el centro-sur de la Península De Yucatán, para ingresar el sábado, como una Tormenta Tropical, al sur del Golfo De México, con trayectoria hacia las costas de Veracruz y Tamaulipas

ZONAS CON POSIBLES AFECTACIONES

De acuerdo con la funcionaria, las bandas nubosas del Huracán Beryl comenzarán a afectar la península desde el jueves 4 de julio con lluvias torrenciales e intensas en Quintana Roo, Campeche y Yucatán, donde también se esperan fuertes vientos, trombas marinas y marea de tormenta; asimismo, el organismo también prevé lluvias muy fuertes en entidades del sureste, oriente y centro de México.

“Se hace un llamado a las embarcaciones marítimas y a los puertos que se encuentran en Campeche, Oaxaca, Chiapas, Tabasco y sur de Veracruz, así como a la población en general a estar atentos a las recomendaciones que emita el Sistema Nacional de Protección Civil y a los avisos de boletines que emite el Servicio Meteorológico Nacional de la Conagua”, agregó Méndez Girón.

Debido a que se prevé que el primer impacto del Huracán Beryl será en el estado de Quintana Roo, el Centro Nacional de Prevención de Desastres (Cenapred) ha mapeado las zonas que podrían resultar más afectadas:

- Chetumal
- El Naranjal
- El Tintal
- Miguel Hidalgo y Costilla
- Bacalar
- Puerto Morelos
- Valladolid

Mientras que para el posible segundo impacto, que el Meteorológico Nacional prevé que sea a inicios de la próxima semana en los límites de Veracruz y Tamaulipas, se ofrecerá información actualizada en otra conferencia el próximo miércoles 3 de julio tras analizar el desarrollo del ciclón en las próximas horas.

Con información de medios

Temas



Localizaciones



Organizaciones


SMN

13 años de experiencia con el departamento Web de VANGUARDIA MX. Cubre temas locales, nacionales e internacionales, virales, de tecnología, salud, economía y sociedad.

Licenciado en Diseño Gráfico por la Universidad Autónoma de Coahuila. Apasionado y practicante del básquetbol, fútbol americano y el gimnasio.

41 años llenos de dudas, pero siempre buscando la verdad allá afuera.

Selección de los editores